Dom w zabudowie siedliskowej, Nowy Kawęczyn
Nowy Dwór-Parcela gm. Nowy Kawęczyn Pokaż na mapie ›
Dodane: Piątek, 19 Wrzesień, 2025 21:35
650 000 zł
2708 zł/m2
Szczegóły ogłoszenia
- Kategoria: Domy / Sprzedaż
- Powierzchnia:240 m2
- Liczba pokoi:5 i więcej pokoi
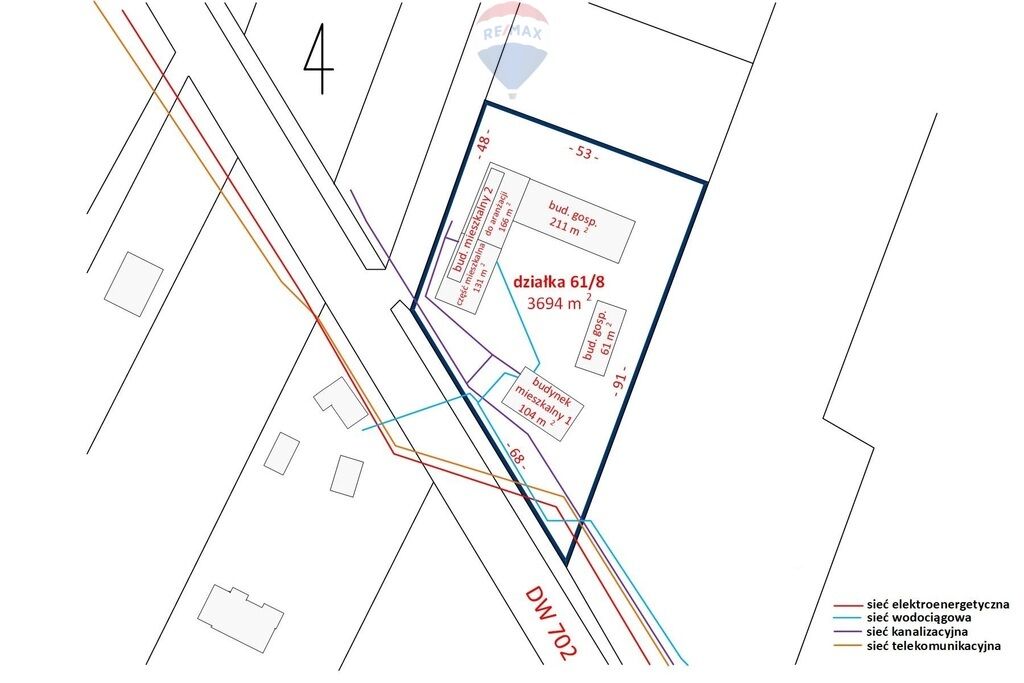
- Pow. działki:3694 m2
- Rynek:Wtórny
- Rok budowy:1960
- Sprzedaż:Pośrednik
- Cena: 650 000 zł / 2708 zł/m2
Opis oferty
Na sprzedaż dom w zabudowie siedliskowej na działce 3694m2,położony w miejscowości Nowy Kawęczyn, gm. Nowy Kawęczyn, w
powiecie skierniewickim.
Działka nr ewid. 61/8, ma kształt trapezu (ok 53 x 91 x 68 x 48 m),
jest płaska, z pojedynczymi nasadzeniami.
Na działce znajdują się:
- dom mieszkalny 104m2 - dwa pokoje, kuchnia, łazienka; budynek w
dobrym stanie technicznym, media: prąd, woda z wodociągu,
kanalizacja, gaz z własnego zbiornika,
- budynek gospodarczy murowany 287m2 - częściowo zaadaptowany na
cele mieszkalne (131m2: trzy pokoje, kuchnia, łazienka
wielostanowiskowa, korytarz); część gospodarcza 156m2 z
możliwością dalszej adaptacji; do budynku doprowadzone są
wszystkie media,
- budynek gospodarczy murowany 211m2 - z betonową, uzbrojoną
podłogą,
- stodoła murowana 61m2
Teren objęty jest studium uwarunkowań i kierunków zagospodarowania
przestrzennego gminy Nowy Kawęczyn, z przeznaczeniem pod zabudowę
zagrodową i mieszkaniową jednorodzinną z dopuszczeniem zabudowy
produkcyjno-usługowej.
Obecnie nieruchomość wynajmowana jest na cele mieszkaniowe dla
pracowników pobliskich zakładów. Istnieje możliwość dalszej
adaptacji i powiększenia części mieszkalnej, co otwiera
możliwości rozwoju nieruchomości w kierunku wynajmu dla
pracowników bądź prowadzenia działalności agroturystycznej
(bliskość terenów zielonych oraz dolin rzek Rawki i Skierniewki
stwarza doskonałe warunki do do prowadzenia tego typu
działalności).
A jeśli zakładanie biznesu nie jest Twoim celem, ale urzekło Cię
to wyjątkowe miejsce – nieruchomość świetnie sprawdzi się jako
spokojne miejsce do zamieszkania:)
Do Skierniewic 10 km, do Rawy Mazowieckiej 15 km.
Zainteresowany? Zadzwoń jeszcze dziś po szczegóły tej
nietuzinkowej nieruchomości.
W przypadku tej oferty wynagrodzenie naszego biura pokrywa
właściciel nieruchomości.
Opis oferty zawarty na stronie internetowej sporządzany jest na
podstawie oględzin nieruchomości oraz informacji uzyskanych od
właściciela, może podlegać aktualizacji i nie stanowi oferty
określonej w art. 66 i następnych K.C.
Sprawdź zainteresowanie tym ogłoszeniem
Wyświetlenia
Data dodania
Ostatnio widziany
Obserwujących
Wysłane zapytania
Odsłony telefonu
Powiadom o podobnych ogłoszeniach
Lokalizacja: Nowy Dwór-Parcela
Kategoria: Nieruchomości » Domy » Sprzedaż
Cena: od 552500 zł do 747500 zł Powierzchnia : od 204 m2 do 276 m2
Chcę otrzymywać powiadomienia o nowych ofertach
Bohdan Błoch
Konto firmowe
Na Lento.pl od 21 lut 2025
Strona użytkownika
- Wypromuj ogłoszenie
- Zgłoś naruszenie
- Drukuj ulotkę
- Edytuj/usuń ogłoszenie
- Udostępnij ogłoszenie
- Dodaj na Facebook



























